scorecardresearch

Super Typhoon Hinnamnor: साल 2022 के सबसे शक्तिशाली तूफान का सामना करेगा जापान-चीन...241 किलोमीटर प्रति घंटे की रफ्तार से बढ़ रहा आगे

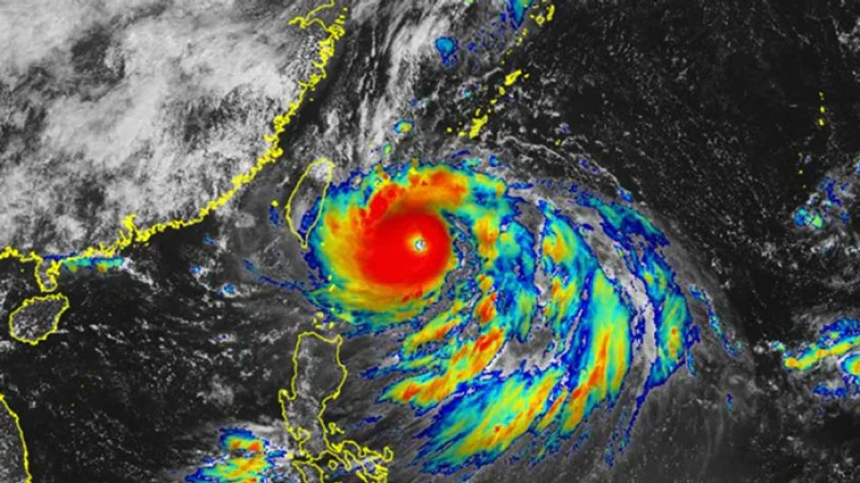
सुपर टाइफून हिनामनोर अब जापान के द्वीपों की ओर बढ़ रहा है, जिसकी वजह से 150 मील प्रति घंटे (241 किलोमीटर प्रति घंटे) की रफ्तार से हवाएं चला रही हैं. वेदर डॉट कॉम के मुताबिक, यह इस साल अब तक का सबसे मजबूत चक्रवात है.

Super Typhoon Hinnamnor (Source:AFP) Super Typhoon Hinnamnor (Source:AFP)
हाइलाइट्स
  • भारी बारिश और ऊंची लहरें दस्तक देंगी

  • 241 किलोमीटर प्रति घंटे की रफ्तार से बढ़ रहा आगे

इस साल का सबसे खतरनाक चक्रवर्ती तूफान जापान की ओर तेजी से बढ़ रहा है. पश्चिम प्रशांत महासागर से उठा ये तूफान 241 किलोमीटर प्रति घंटे की रफ्तार से आगे बढ़ रहा है. जापान की मौसम विज्ञान एजेंसी के अनुसार, सप्ताह के अंत में द्वीप के पास पहुंचने के लिए हिनमन्नोर तूफान उत्तर की ओर आगे बढ़ेगा. उसके बाद उसका मार्ग अनिश्चित है, लेकिन अनुमानों से संकेत मिलता है कि तूफान अगले सप्ताह कोरियाई प्रायद्वीप की ओर उत्तर की ओर जारी रहेगा.

इसे इस साल का सबसे शक्तिशाली तूफान माना जा रहा है. ये तूफान चीन के पूर्वी तट, जापान के दक्षिणी तट और फिलिपींस के लोगों के लिए बड़ा खतरा बना हुआ है. तूफान से ओकिनावा (Okinawa)की उड़ानें पहले ही बाधित हो चुकी हैं. जापान एयरलाइंस कंपनी ने बुधवार को इस क्षेत्र से आने-जाने वाली उड़ानें रद्द कर दीं, जबकि एएनए होल्डिंग्स इंक ने कहा कि गुरुवार तक आठ उड़ानों को रोका गया. दोनों कंपनियों ने चेतावनी दी है कि तूफान की वजह से पूरे सप्ताह उड़ानें प्रभावित हो सकती हैं.

क्या कहती है मौसम एजेंसी?
जापान में मौसम विभाग द्वारा तूफान हिनामनोर को 'हिंसक' के रूप में वर्गीकृत किया गया है. एजेंसी ने ओकिनावा में तेज आंधी और हाई टाइड्स की चेतावनी दी है.

अभी क्या है स्थिति?
1 सितंबर तक तूफान मियाको द्वीप से लगभग 290 किमी दक्षिण में था, जो साउथ-साउथ वेस्ट में 20 किमी प्रति घंटे की रफ्तार से आगे बढ़ रहा था. जापान मौसम विज्ञान एजेंसी के अनुसार, इसके केंद्र में 920 हेक्टोपास्कल का वायुमंडलीय दबाव था और 270 किलोमीटर प्रति घंटे की रफ्तार से हवाएं चल  रही थी.

टाइफून हिनामनोर का पूर्वानुमान
एजेंसी ने शुक्रवार को ओकिनावा के लिए 108 किलोमीटर प्रति घंटे और शनिवार को 252 किलोमीटर प्रति घंटे की रफ्तार से हवाएं चलने का अनुमान लगाया है.पूर्वानुमानकर्ता संकेत दे रहे हैं कि सितंबर के पहले सप्ताह में हिनामनोर दक्षिण कोरिया या दक्षिणी जापान के लिए रवाना हो सकता है. इसके अलावा, चीन ने झेजियांग और फुजियान के तटीय प्रांतों के लिए तूफान की चेतावनी जारी की है.

तूफान हिनामनोर का प्रभाव
तूफान से इस सप्ताह ओकिनावा क्षेत्र के लिए बड़ा खतरा बनकर उभर सकता है. कुछ द्वीप में केवल कुछ सौ निवासियों हैं, लेकिन पूरे क्षेत्र में लगभग 1.4 मिलियन लोग हैं. ओकिनावा मुख्य भूमि जापान में अधिकांश अमेरिकी सैन्य ठिकानों की मेजबानी करता है. जापान टाइम्स के अनुसार, आंधी और तेज हवाओं के कारण कुछ घर ढह सकते हैं.

इसके अलावा क्षेत्र में भारी बारिश और ऊंची लहरें भी दस्तक देंगी. एजेंसी ने ओकिनावा में गुरुवार सुबह तक 180 मिलीमीटर बारिश का अनुमान जताया है. इस समय जापान में आंधी तूफान का सीजन है. देश में साल में लगभग 20 ऐसे तूफान आते हैं, जिनमें नियमित रूप से भारी बारिश होती है जो भूस्खलन या अचानक बाढ़ का कारण बनते हैं.